
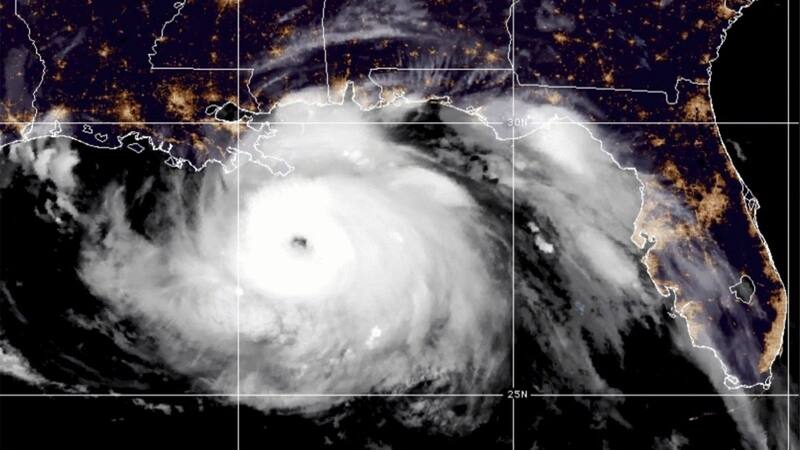
El huracán Ida llegó este domingo con fuertes vientos de 240 km/h, alcanzando la categoría 4, según lo señalado por el Centro Nacional del Huracanes (NHC). Entrando por Port Fourchon, situado a 80 km de la cuidad de Nueva Orleans, al sureste del estado de Luisiana en Estados Unidos, lo que ha obligado a los habitantes a abandonar la zona o buscar refugio.
Según señaló el NHC, "Ida" impactó como huracán de categoría 4 en la escala de Saffir - Simpson, la cual cuenta con un máximo de 5. Además, advirtió que existirían daños catastróficos por los vientos e inundaciones peligrosas en la región.
Por su parte, el gobernador de Luisiana, John Bel Edwards, señaló a través de su cuenta de Twitter que "para la mayor parte del estado, las condiciones climáticas actuales son solo el comienzo de lo que está por venir", añadiendo que es necesario mantenerse dentro sus casas y permanecer ahí hasta que las condiciones mejoren.
Además, comentó a CNNSOTU que el huracán Ida "va a ser una prueba muy seria para nuestros sistemas. (...) Y llega en un momento en que, francamente, presenta algunas dificultades muy desafiantes para nosotros con los hospitales tan llenos de pacientes Covid". Considerando que el estado sureño alcanzó 2.700 hospitalizaciones el sábado, alcanzado los niveles más altos de la pandemia.
Los meteorólogos ya han advertido de que Ida puede causar una marejada y vientos huracanados "catastróficos" en la zona costera de Luisiana, que podría dejar la zona "inhabitable por semanas o meses".






